色素沉着怎么办?如何治疗比较好?南京华肤快速击碎色斑
发表于:2018-11-01 来源:南京华肤皮肤病医院 点击: 次
相信大家都有这样的经历,小时候皮肤很光滑很白,而随着年龄增长,面部皮肤逐渐出现了小黑点,这其实就是黑色素的沉着。色素沉着会让人的皮肤看起来老化粗糙,影响整体面部形象,这也因此给很多女性带来了烦恼和困扰。如何改善色素沉着,恢复皮肤的美白光滑呢?

差距到底有多大!
色素祛除要趁早,否则只会越沉淀越深

一、华肤专家解析:色素沉着的原因!
1、内因:一个重要原因便是人体内分泌失调,根据医生研究表明,大多是情况下人面部出现色斑、暗疮等问题,都是内分泌失调导致的。另外,一个重要因素是遗传,如果一个人18岁以前出现色素沉着,则很可能与遗传有关。

2、外因:近年来,环境质量越来越差,各种光线、紫外线会直射人们的皮肤。这时人体内就会分泌出大量黑色素保护来皮肤,便导致色素沉淀。此外,很多女性出现黑斑是因为使用了大量的化妆品,皮肤清洁不当也会产生色素沉着。(受阳光、紫外线辐射或化妆品、药物及其它物质刺激后,黑色的皮肤色素沉积于底层,便形成了色素沉着。)
南京华肤皮肤美容首席专家邢广梅提醒:
警惕皮肤越来越暗沉!不断的与阳光、辐射和化妆品的接触后,皮肤的色素沉积会越来越多,肤色也会越来越暗沉、发黄、变黑。如果在皮下色素沉淀变陈旧之前就进行治疗,不仅难度低,且效果也会更好。
二、祛除色素沉着,警惕进入一下误区!
祛除色素沉着
不要再迷信这些方法!
1、食物疗法

见效慢、没有针对性、无明显效果
2、药物疗法

副作用大、易导致其他并发症
3、护肤用品

只有遮盖作用、无法消除暗沉
4、小美容院

无医疗资质、不做检测、不安全
三、色素沉着怎么办?
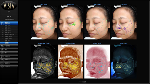
1、皮肤检测 全面分析肌肤状态

皮肤检测仪运用光学成像RBX,即时测出和分析表皮的斑点、毛孔、皱纹和皮肤纹理,以及由于紫外线照射而产生的皮下血管和色素性病变,根据科学数据,定制专属于每个人的淡沉美肤方案。
四、多重淡沉疗法 色素沉着不用怕
1、激光射频
综合改善肤质实现肌肤美白透亮

华肤拥有国际科学的激光射频嫩肤仪器,采用进口复合彩光M22王者之心、Cynergy调Q755、MedliteC6激光、强脉冲CO2激光等多种一起,综合改善肤质实现肌肤美白透亮。
2、嵌入式疗法
深入至中胚层 滋养深层肌肤

通过效果显著的微针美塑、补水嫩肤等形式,采用超微渗透技术,定位、定层、定量的把含有多种营养成分,高浓度的皮肤营养成份,直接透过表皮输送到皮下深层组织,淡化色沉,提亮肤色。
3、抗氧化综合调理
内辅外疗全效补水淡沉嫩肤

华肤倡导多项组合、内辅外疗的治疗理念,因此结合特有的中药药包调理、果酸焕肤及清洁嫩肤等多种护理,自内而外清洁排毒,实现抗氧化及健康内调,从而进一步改善色素沉着等肌肤问题。
五、个性定制方案 华肤祛除色素沉着不是梦
1、肤色暗黄患者
皮肤发黄,有轻微的雀斑及色沉。

华肤治疗前后效果
2、色素沉着
由于日晒,化妆等导致轻微色沉。

治疗前后效果
4、痘印痘坑
非专业医学祛痘,留下痘印痘坑。

六、华肤细致化诊疗 还原嫩白美肌

七、祛斑实力派 华肤皮肤美容专家
年丰富经验+业绩口碑

邢广梅 南京华肤皮肤美容主任
擅长项目:美白嫩肤、痘痘、白癜风、黄褐斑、雀斑或色素性疾病治疗等。
【个人简介】
邢广梅,女,中医世家出身,从事中医皮肤病临床科研及诊疗工作近30年,对技术精益求精,对事业执着追求,对患者热诚关怀,先后在专业杂志上发表论文多篇。在近30年的临床工作中逐渐形成了自己独特的学术见解和专业技术专长。在国内《中国实用皮肤病学杂志》、《中华皮肤科杂志》等医学刊物上发表文章数篇,受到同行权威专家的一致认可,在近年来形成了自己一套独特的中西医治疗方案,通过临床数据显示,治疗效果良好。
【荣誉成就】
获国家专利8项,科技成果12项,省部级科技进步奖8次,多次应邀出访欧美国家进行学术交流、讲学,临床工作成绩显著,广受好评。

【预约须知】
1、医院将根据专家具体出诊时间,为患者提供24小时无假日预约申请通道。免费预约专家入口>>>
2、预约成功后,将及时以短信形式通知患者,请牢记预约专家号,此为就诊唯一凭证,来院凭预约号可由导医安排优先就诊。
3、由于专家号源紧张,若未能及时就诊,请务必及时电话通知医院导医处改约或取消专家号。医院电话:025-86285553。









